Avocado leaves infested with trioza was intercepted in March at the San Diego/Mexico border. Avocado leavers are used to wrap tamales. Trioza infested leaves make a tastier tamale.
Introduction
Four species of Trioza are currently known to attack avocado foliage and nymphal feeding causes some form of leaf deformation. Trioza anceps Tuthill is associated with avocados throughout Mexico and Central America. Trioza perseae Tuthill has been described from avocados growing in Peru, and Trioza aguacatae Hollis and Martin and Trioza godoyae Hollis and Martin are known from avocados in Michoacan Mexico, and San Jose Costa Rica, respectively (Hollis and Martin 1997).
All four Trioza spp. appear to have an extremely restricted host range and have only been recorded from leaves of avocados (Persea americana). Further, under some circumstances certain Trioza species (e.g., T. perseae) may even be restricted to particular races of P. americana, which is suggestive of extreme monophagy and host specialization (Hollis and Martin, 1997).
Trioza species have been found on smuggled avocado plants intercepted in San Antonio and Brownsville in Texas, and San Diego in California (Texas and California are states in the USA) (Hollis and Martin 1997). Currently, none of the four Trioza species known to attack avocado leaves are present in the major avocado growing states of the USA (i.e., California, Florida, Texas, and Hawaii). However, given the relatively close proximity of Mexico to California , the high daily volume of tourism, traffic (road, rail, sea, and air), and trade across the California-Mexico border, and the potential for illegal movement of plant material through these identifiable conduits, Trioza anceps and T. aguacatae have high invasion and establishment potential should they be illegally moved on avocado plants that are introduced into California. Consequently, Trioza species represent a serious biosecurity risk for California (the largest avocado producing region in the USA at ~65,000 acres), and other minor avocado producing areas in the USA (especially Texas and Florida).
Around 58 species of psyllids (~2% of described species) are associated with host plants in the Lauraceae, the plant family to which avocados belong. The majority of these psyllid species, ~72% of them, belong to the family Triozidae which contains the genus Trioza, of which ~64% cause some type of leaf deformation to their lauraceous hosts (Hollis and Martin 1997).
| Pest Identification and Biology |
Adult Trioza. Trioza species adults are small (~3mm in length), winged, and depending on the species, coloration is either pale green or brown with ochraceous markings. Forewings are hyaline with pronounced veination that may be useful for species identifications. Adults have been observed feeding on avocado leaves, presumably imbibing phloem. Female Trioza species probably oviposit eggs into young avocado leaves by partially inserting them into leaf tissue with the ovipositor. Virtually nothing is known about the basic developmental and reproductive biology and ecology of Trioza species associated with avocados and these are important areas of research in need of attention.
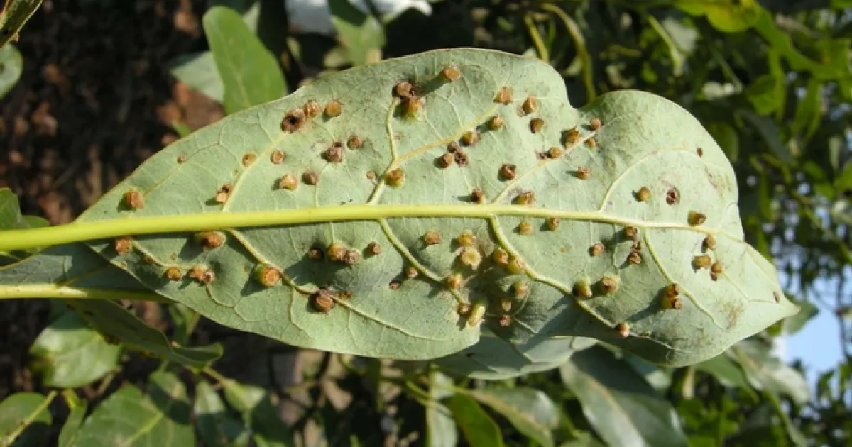
Trioza nymphs. Nymphs are the life stage responsible for causing characteristic deformaties to avocado leaves. Trioza species normally have five nymphal instars before molting to the adult stage. Female T. anceps, T. aguacatae, and T. godoyae apparently lay eggs on the underside of young tender avocado leaves. Nymphs of T. anceps and T. aguacatae upon emerging from eggs create a "pit" within which they commence feeding. As nymphs mature, they induce the formation of protective galls within which they feed. Galls are typically conical vertical growths of leaf material that form on the leaf surface opposite to which the feeding pit is initiated. Typically this is the upper leaf surface for T. anceps and T. aguacatae. T. perseae nymphs apparently feed in pits on the upper leaf surface which then causes gall formation on the lower surface of the leaf (Hollis and Martin 1997). T. godoyae nymphs do not form projecting galls, instead nymphs of this species cause the edges of leaves to roll and feeding occurs within these protective structures (Hollis and Martin 1997).
Very little, if anything, is known about the physiology of gall induction by Trioza species associated with avocados, how nutrition is acquired from within galls, factors influencing development (e.g., temperature, avocado race, leaf age, exposure of leaves to sun and shade, and densities of nymphs and galls per leaf).
Nymphal Trioza spp. induce galls that either develop on the upper or lower leaf surface, or they cause leaf margins to roll. The type of leaf damage observed on avocados is dependent on the species of Trioza infesting the plant. Trioza anceps and T. aguacate cause galls to develop on the upper leaf surface, T. perseae induces gall formation on the lower leaf surface, while T. godoyae infestations result in leaf margins curling.
Attacks by Trioza magnoliae on redbay (Persea borbonia) appear to more intense when plants are shaded, and galled leaves tend to be smaller, senesce more rapidly, and shoots with galled leaves grow less in comparison to shoots lacking galled leaves (Leege 2006). These field observations of T. magnoliae on P. borbonia suggest that gall induction negatively affects plant growth and reproduction (Leege 2006). Consequently, it is possible that Trioza species attacking avocados have similar negative impacts on this host plant. Therefore, it is not surprising that reports from Mexico indicate that heavy Trioza sp. infestations can cause premature leaf defoliation which reduces avocado fruit production (Ebeling 1950, Hernandez et al., 2000).
| Natural Enemies as Biological Control |
There are no readily available published records on the natural enemy fauna associated with Trioza species that induce galls in avocados. It is likely that there are specialist hymenopterous parasitoids attacking Trioza nymphs within galls that await discovery in countries with endemic Trioza species. Discovery, identification, and study of these parasitoids, should they exist, could be very important for developing IPM programs in areas with naturally-occurring Trioza species. Knowledge of these natural enemies could be invaluable for future biological control programs against invasive Trioza species in countries with avocado industries that currently lack this pest. Adult Trioza are probably opportunistically preyed upon by generalist natural enemies (e.g., lace wing larvae, spiders, and coccinellids) on avocados.
Many species of psyllids are known to have parasitoids (e.g., Hymenoptera: Eulophidae) that attack nymphs. Some species of invasive psyllid attacking agriculturally important crops has been subjected to classical biological control (e.g., Asian citrus psyllid, Diaphorina citri in Florida with Tamarixia radiata (Waterston) [Hymenoptera: Eulophidae]). Invasive pest psyllids attacking landscape ornamentals have been controlled with specialist natural enemies also (e.g., Eugnenia psyllid, Trioza eugeniae, has been suppressed in parts of California with Tamarixia sp.).
