HOrT COCO-UC Master Gardener Program of Contra Costa

Primary Image
Berberis thunbergii 'Orange Rocket'
HOrT COCO-UC Master Gardener Program of Contra Costa: Article

Transplanting a Very Spiny Berberis Bush

December 3, 2018
Advice for the Home Gardener from the Help Desk of the UC Master Gardener Program of Contra Costa County Gardener's Request: Can you give me any ideas on how I can move a Berberis thunbergii 'Orange Rocket' from one part of my yard to another? At right is a picture I took last year.
View Article
Primary Image
Citrus hard scale
HOrT COCO-UC Master Gardener Program of Contra Costa: Article

Armored Scale on Lemon Tree

November 26, 2018
Advice for the Home Gardener from the Help Desk of the UC Master Gardener Program of Contra Costa County Client's Request: Could you please diagnose this condition on my Meyer Lemon tree (see photo at right) and let me know if I should take any action .
View Article
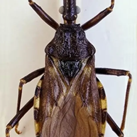
Primary Image
Assassin Bug
HOrT COCO-UC Master Gardener Program of Contra Costa: Article

Rain? Assassin Bugs in Your Home?

November 19, 2018
Advice for the Home Gardener from the Help Desk of the UC Master Gardener Program of Contra Costa County Client's Request (visiting at the MG/Ag Office at 2380 Bisso Ln, Concord): I found these insects (see below) inside my house in my closet. A friend of mine thought they might be kissing bugs.
View Article
Primary Image
Typical Aerated Compost Tea Brewer
HOrT COCO-UC Master Gardener Program of Contra Costa: Article

More on Compost Tea

November 12, 2018
Advice for the Home Gardener from the Help Desk of the UC Master Gardener Program of Contra Costa County Client's Request (via phone): What is the nutritional composition of compost tea?
View Article
Primary Image
Oak Leaf Gall
HOrT COCO-UC Master Gardener Program of Contra Costa: Article

Oak Tree Critters (i.e., Galls)

November 5, 2018
Advice for the Home Gardener from the Help Desk of the UC Master Gardener Program of Contra Costa County Client's Request: Below is a picture of a leaf from my oak tree in my yard.
View Article